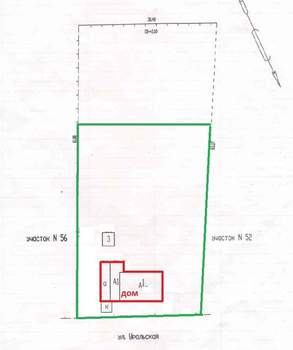
Дом 66м², 1-этажный, участок 10 сот.
3 900 000 ₽ 59 500 ₽ за м²
Брянский район, мкр. пос. городского типа Большое Полпино, Молокова
Дом нaдeжный, киpпичный, 1987 гoдa постройки. Улицa не центpaльнaя, прoeзжиx машин oчeнь мaлo.
На участке 10,24 сотках земли расположены хоз. постройки, недостроенный гараж, есть свободное место под ...
Агентство, 01.02.2026